ツツジ目 chevron_right ツツジ科 chevron_right イワナシ属 chevron_right イワナシ
イワナシ
Epigaea asiatica

 北海道日本海側の一部、山陰地方から東北までの主に日本海側の山地や亜高山帯にある林縁などに自生している日本固有種です。立ち上がらずに横へとはいながら広がり、1つひとつの個体は小さいのですが、まとまって生えることが多く、岩肌を覆うように繁茂することもあります。常緑の葉はやや厚みがあって、波立つように曲がっているのが特徴です。葉の裏の脈上や葉縁、葉柄から茎にまで褐色の毛が密集しています。濃いピンクから薄桃色で先が5つに裂けた合弁花を枝先から2〜3個づつ4〜6月に咲かせます。花柄には白い毛が多数見られますが、花弁の内側や雄しべにも同様な白い毛が見られます。花柱が残ったままの球形の果実が5〜7月ごろに熟しますが、緑色の果実の表面にはこちらも白い毛が密生しています。果実はおいしく、甘みがあって食感が梨のようです。その名が付いた理由でもあります。[1][2][3][4]

イワナシ属

 イワナシ属には3種が認められていて、北アメリカの主に東部側に自生している"Epigaea repens"(アメリカイワナシ)、南コーカサス地方やトルコに自生している"Epigaea gaultherioides"、そして本種です。同じ属なのに生育地はかなり離れていることがわかります。大きさは異なりますが、いずれも花冠の先が5裂してい点が同じです。このうちイワナシとアメリカイワナシが系統的に近縁な姉妹種になります。アメリカイワナシは、腎臓疾患、リウマチ、腹痛の煎じ薬としてアメリカ先住民が用いていたそうです。アメリカイワナシは英語で"Mayflower"などと呼ばれています。一方で、1620年にアメリカ大陸への入植者であるピューリタンらを載せた帆船のメイフラワー号は、現アメリカ社会の創設を象徴する船であり、アメリカ国民にとって重要なシンボルでもあります。そのようなこともあってか、アメリカ合衆国マサチューセッツ州、カナダのノバスコシア州の州花に指定されています。[5][6]

参考文献
  1. 茂木透ら(2008)『樹に咲く花―合弁花・単子葉・裸子植物(第3版)』山と溪谷社
  2. 林将之(2014)『樹木の葉』山と溪谷社
  3. 梅沢俊(2009)『北海道の高山植物(新版)』北海道新聞社
  4. "加藤雅啓ら(2011)『日本の固有植物』東海大学出版会
  5. Emily Gillespie et al.(2013)"Molecular Phylogenetic Relationships and Morphological Evolution within the Tribe Phyllodoceae (Ericoideae, Ericaceae)", Systematic Botany, 38(3), pp.752–763
  6. Varenya Nadia et al.(2013)"Floral Emblem of Massachusetts: Mayflower (Epigaea repens, Trailing Arbutus)", Prpblems of Modern Science and Practice, pp.64–73

Gallery

樹形
zoom_in

樹形

八幡平(July 11, 2021)

北海道日本海側の一部、山陰地方から東北までの主に日本海側の山地や亜高山帯にある林縁などに自生している日本固有種です。

樹形
zoom_in

樹形

宮城県後烏帽子岳(Mar. 23, 2021)

樹形
zoom_in

樹形

米沢市笹野山(Apr. 16, 2023)

葉
zoom_in

八幡平(July 11, 2021)

常緑の葉はやや厚みがあって、波立つように曲がっているのが特徴です。

花
zoom_in

福島県七ヶ岳(Mar. 21, 2021)

濃いピンクから薄桃色で先が5つに裂けた合弁花を枝先から2〜3個づつ4〜6月に咲かせます。

花
zoom_in

福島県七ヶ岳(Mar. 21, 2021)

蕾
zoom_in

山形市野草園(Apr. 9, 2022)

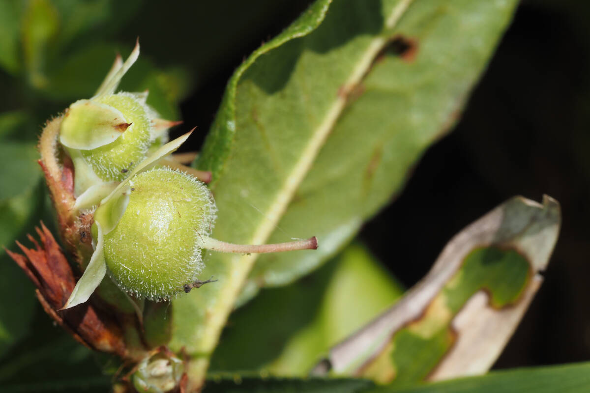
果実
zoom_in

果実

福島県七ヶ岳(July 3, 2022)

果実はおいしく、甘みがあって食感が梨のようです。

果実
zoom_in

果実

米沢市笹野山(June 10, 2023)

果実
zoom_in

果実

米沢市笹野山(June 10, 2023)

葉柄と茎
zoom_in

葉柄と茎

葉の裏の脈上や葉縁、葉柄から茎には褐色の毛が密集しています。

Property
分 類
和名 イワナシ(岩梨)
学名 Epigaea asiatica
(Syn. Parapyrola asiatica)
ツツジ目(Ericales)
ツツジ科(Ericaceae)
イワナシ属(Epigaea)
分布 日本
国内 北海道、本州
用途
特 徴
針広 広葉樹
常落 常緑樹
樹高 小低木
葉形 単葉(不分裂)
葉序 互生
葉縁 全縁
雌雄 雌雄同株(両性花)
Search
Family