ツツジ目 chevron_right ツツジ科 chevron_right シラタマノキ属 chevron_right アカモノ
アカモノ
Gaultheria adenothrix

 北海道、本州、四国の山地の林縁、特に日本海側に多く自生している日本固有種です。樹高は高くても30cm程度にしかならない小低木で、よく分枝して横に広がります。長さが2〜3cmの広卵形で厚みのある葉は葉脈が凹み先端は尖り気味になります。同属のシラタマノキの葉も厚みがあって似ていますが、葉脈が網目状になって先端が丸みを帯びる違いがあります。5〜7月に咲く花は鐘状で花冠は多少赤みを帯び、また萼と花柄は赤くよく目立ちます。特徴的なのは毛の多さです。萼や花柄、若い枝は赤褐色の長い毛が密生しています。真っ赤な果実のようなものは、実は肥大化した萼で、この中に本当の果実があります。先端を見ると5つに分裂しており元は萼なのが理解できます。萼が肥大化するのはシラタマノキも同じです。ちなみにこの偽果は食べることができ、薄甘い味がします。[1][2][3]

参考文献
  1. 清水建美(2002)『高山に咲く花』山と溪谷社
  2. 梅沢俊(2009)『北海道の高山植物(新版)』北海道新聞社
  3. 加藤雅啓ら(2011)『日本の固有植物』東海大学出版会

Gallery

樹形
zoom_in

樹形

ニセコ大沼(Sep. 8, 2019)

樹高は高くても30cm程度にしかならない小低木で、よく分枝して横に広がります。

葉
zoom_in

大雪山系黒岳(July 14, 2018)

長さが2〜3cmの広卵形で厚みのある葉は葉脈が凹み先端は尖り気味になります。

葉の裏
zoom_in

葉の裏

裏岩手連峰畚岳(July 24, 2021)

花
zoom_in

大雪山系黒岳(July 14, 2018)

5〜7月に咲く花は鐘状で花冠は多少赤みを帯び、また萼と花柄は赤くよく目立ちます。

花
zoom_in

蔵王 屏風岳(June 27, 2021)

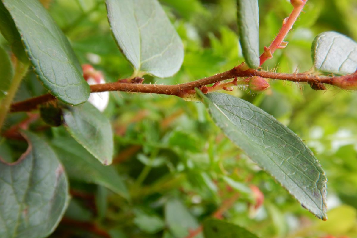
花柄
zoom_in

花柄

蔵王 屏風岳(June 27, 2021)

果実(シラタマノキの果実と)
zoom_in

果実(シラタマノキの果実と)

ニセコ大沼(Sep. 8, 2019)

真っ赤な果実のようなものは、実は肥大化した萼で、この中に本当の果実があります。

果実
zoom_in

果実

ニセコ大沼(Sep. 8, 2019)

樹皮
zoom_in

樹皮

大雪山系黒岳(July 14, 2018)

萼や花柄、若い枝は赤褐色の長い毛が密生しています。

Property
分 類
和名 アカモノ(赤物)
別名 イワハゼ
学名 Gaultheria adenothrix
(Syn. Gaultheria ovalifolia subsp. adenothrix)
(Syn. Diplycosia adenothrix)
ツツジ目(Ericales)
ツツジ科(Ericaceae)
シラタマノキ属(Gaultheria)
分布 日本
国内 北海道、本州、四国
用途
特 徴
針広 広葉樹
常落 常緑樹
樹高 小低木
葉形 単葉(不分裂)
葉序 互生
葉縁 鋸歯
雌雄 雌雄同株(両性花)
Search
Family