ツツジ目 chevron_right ツツジ科 chevron_right ツツジ属 chevron_right サクラツツジ
サクラツツジ
Rhododendron tashiroi

 高知県、佐賀県、鹿児島県にも生えていますが、主には沖縄です。山地の林縁などに自生していて、樹高は2〜3mになります。樹皮は赤褐色です。葉の長さは3〜8cmの楕円形で、枝の先端から輪生で3枚、または対生して2枚が出ています。2〜5月に淡い桃色の合弁花を咲かせます。上側の裂片の内側には赤紫色の斑が入ります。果実は細長い花柱が残ったまま7〜8月に熟します。沖縄本島の北端にある国頭村の花に指定されています。当地ではヤマザクラとも呼ばれているように、その花の色は桜の花に似ていて、サクラツツジの名もそこから付けられたと言われています。[1][2]

 本種の幹は屈曲なおかつ凸凹していて、径の大きなものは銘木とされ、茶室や床の間の柱として珍重されているそうです。

参考文献
  1. 茂木透ら(2008)『樹に咲く花―合弁花・単子葉・裸子植物(第3版)』山と溪谷社
  2. 上原敬二(1959)『植物大図説』有明書房

Gallery

zoom_in

樹形

小石川植物園(Apr. 29, 2011)

高知県、佐賀県、鹿児島県にも生えていますが、主には沖縄です。

zoom_in

小石川植物園(June 26, 2011)

葉の長さは3〜8cmの楕円形で、枝の先端から輪生で3枚、または対生して2枚が出ています。

zoom_in

小石川植物園(Apr. 29, 2011)

上側の裂片の内側には赤紫色の斑が入ります。

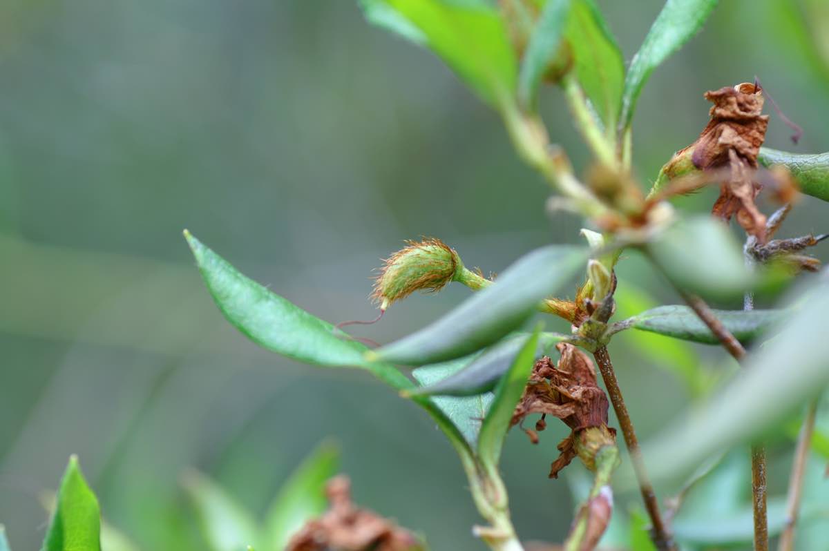
zoom_in

果実

小石川植物園(June 26, 2011)

果実は細長い花柱が残ったまま7〜8月に熟します。

zoom_in

果実

小石川植物園(Apr. 29, 2011)

Property
分 類
和名 サクラツツジ(桜躑躅)
学名 Rhododendron tashiroi
ツツジ目(Ericales)
ツツジ科(Ericaceae)
ツツジ属(Rhododendron)
分布 日本、台湾
国内 四国、九州、沖縄
用途 建材
特 徴
針広 広葉樹
常落 常緑樹
樹高 低木
葉形 単葉(不分裂)
葉序 輪生/対生
葉縁 全縁
雌雄 雌雄同株(両性花)
Search
Family