バラ目 chevron_right バラ科 chevron_right カマツカ属 chevron_right カマツカ
カマツカ
Pourthiaea villosa var. laevis

 北海道から九州の山地から雑木林までの日がよく当たる地に生えています。樹高は2〜7mほどで、樹皮は暗灰色をしています。[1][2][3]葉は長さ4〜7cmの卵形で、中には先半分が明確に幅広くなっているものもあります。長枝の葉は互生ですが短枝の葉は輪生です。

 4〜6月に直径1cmほどの梅に似た白い花を固まって咲かせます。果実は大きさ1cm程度の楕円形で10〜11月に赤く熟し、食べることができます。また、後から付けたような突起が果実の柄の至る所に付いているのが特徴です。

別名 ウシコロシ

 淡い紅色をした材は強靭で粘り強い特性を生かして、農作業に用いる鎌や石工器具の柄、牛の鼻輪や鞭などの器具、洋傘の柄に用いられていたようです。カマツカの名の由来は鎌の柄から、別名のウシコロシは牛を殺すほどこれら道具を使役に使ったためだと言われています。[4][5][6]

参考文献
  1. 茂木透ら(2006)『樹に咲く花―離弁花(1)(第4版)』山と溪谷社
  2. 上原敬二(1959)『植物大図説』有明書房
  3. 林将之(2004)『葉で見わける樹木』小学館
  4. 農商務省山林局(1912)『木材ノ工藝的利用』大日本山林會
  5. 野口英昭(1995)『静岡県樹木名方言』朝日新聞社
  6. 諸戸北郎(1903)『大日本有用樹木効用編』嵩山房

Gallery

zoom_in

樹形

筑波実験植物園(May 10, 2011)

樹高は2〜7mほどです。

zoom_in

筑波実験植物園(May 20, 2011)

葉は長さ4〜7cmの卵形で、中には先半分が明確に幅広くなっているものもあります。

zoom_in

筑波実験植物園(May 20, 2011)

4〜6月に直径1cmほどの梅に似た白い花を固まって咲かせます。

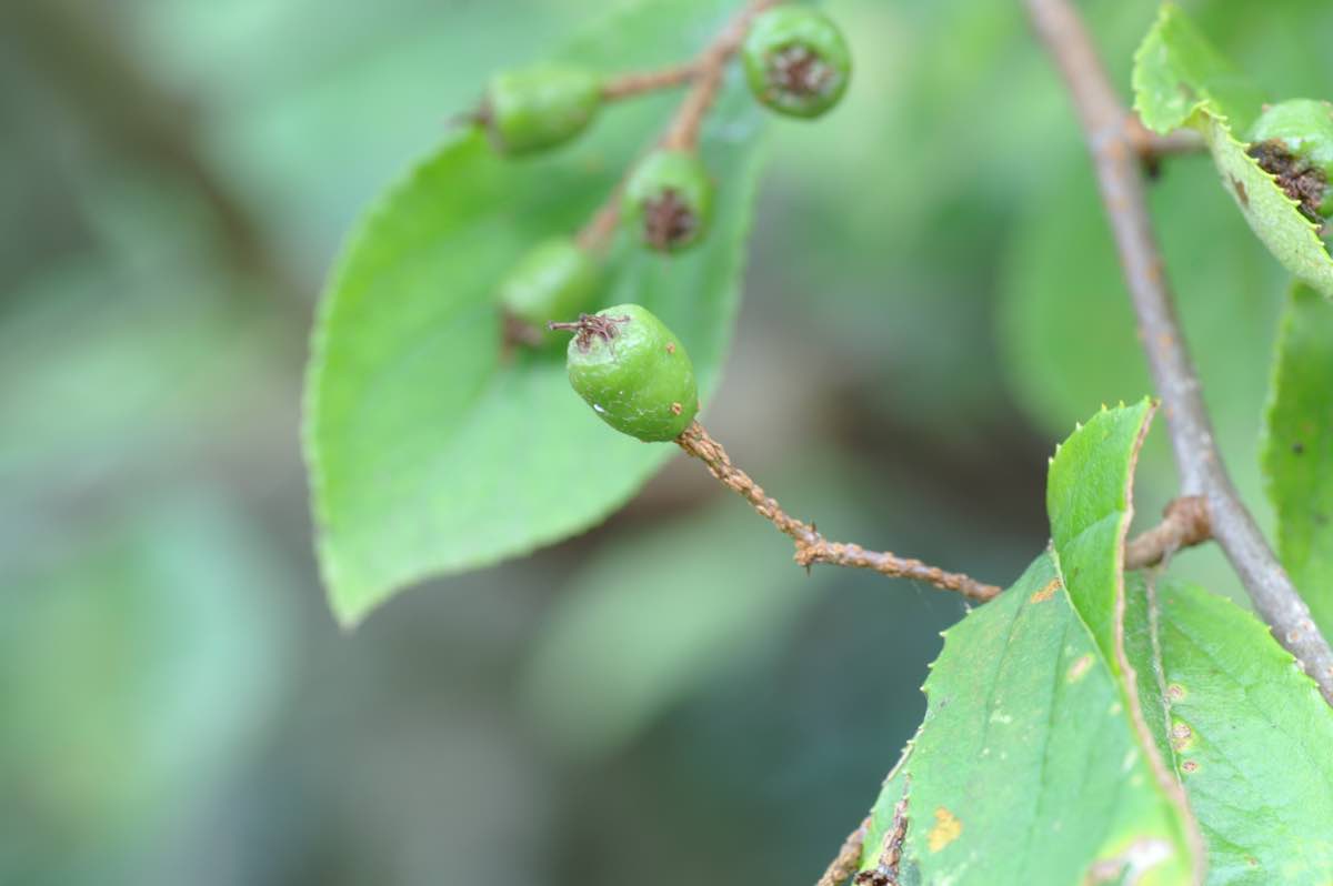
zoom_in

未熟果

筑波実験植物園(Sep. 23, 2011)

果実は大きさ1cm程度の楕円形で10〜11月に赤く熟します。

zoom_in

樹皮

筑波実験植物園(May 20, 2011)

樹皮は暗灰色です。

Property
分 類
和名 カマツカ(鎌柄)
別名 ウシコロシ(牛殺)
学名 Pourthiaea villosa var. laevis
バラ目(Rosales)
バラ科(Rosaceae)
カマツカ属(Pourthiaea)
分布 日本、朝鮮半島、中国中南部、台湾
国内 北海道、本州、四国、九州
用途 器具材
特 徴
針広 広葉樹
常落 落葉樹
樹高 小高木
葉形 単葉(不分裂)
葉序 互生/輪生
葉縁 鋸歯
雌雄 雌雄同株(両性花)
Search
Family