マツムシソウ目 chevron_right スイカズラ科 chevron_right スイカズラ属 chevron_right キンギンボク
キンギンボク
Lonicera morrowii

 北海道の南西部、本州の東北から山陰地方の主に日本海側、海岸沿いや山地の林縁に自生しています。樹高は1〜2m程度ですが、横に枝を広げるため大きく感じられます。葉は長さ2〜8cm程度の楕円形で、表や裏、葉縁、葉柄に軟毛が生えています。4〜6月になると対生の葉脈からそれぞれ1つの花柄に2つの白い花を咲かせます。花冠が5つに深く裂けるため、細くて長い5枚の花弁があるようにも見えますが合弁花です。また5本の雄しべと1本の雌しべが突き出て目立ちます。最初白かった花は次第に黄色へと変色し、黄色(金)と白色(銀)の花が咲いている様からキンギンボクと名付けられたとされています。7〜9月になると果実が赤く熟しますが、1本の果柄にある2つの果実は基部から合着して繋がってしまいます。この形がまるでひょうたんのように見えるのが別名ヒョウタンボクの所以です。樹皮は灰褐色で縦に裂けます。[1][2]

毒の実

 日本海側の多雪地帯に分布の中心がある植物を日本海要素植物と言います。冬に雪が多く積もる気候に順応した植物なのですが、キンギンボクは日本海に面した地域に多く見られることから、日本海要素植物の1つであるとされています。江戸時代の弘化(1844〜1848年)に完成した佐渡の物産や寺社などを記録した「佐渡志」にある「鉤吻」の項に「世俗にふたごなりといふもの越後方言ふたころびかへるつりとも云ひて山中に生ず灌木にして高六七尺計り形状圖の如し五六月の間葉間毎に細枝を出し其先に實二つ宛附いて熟すれば赤し小兒のために殊に恐るべきもの也」との記述があります。ここでの「ふたごなり」はキンギンボクのことで、赤い実は毒であるから子どもに食べさせてはならないと注意しています。ちなみに「鉤吻」とは、中国南部から東南アジアに自生するゲルセミウム・エレガンスのことで、世界で一番強い毒草とも言われている植物です。昔から毒であるとされてきたキンギンボクの実ですが、その成分はよくわかっていません。実をかじったという方によれば、甘苦くて気持ち悪い味だったとのこと。[3][4]

参考文献
  1. 林将之(2004)『葉で見わける樹木』小学館
  2. 茂木透ら(2008)『樹に咲く花―合弁花・単子葉・裸子植物(第3版)』山と溪谷社
  3. 田中美清編(1937)「佐渡志」佐渡叢書刊行会、(下)p.94
  4. 佐竹元吉ら(2012)『日本の有毒植物』学研教育出版

Gallery

樹形
zoom_in

樹形

山形市野草園(May 22, 2021)

樹高は1〜2m程度ですが、横に枝を広げるため大きく感じられます。

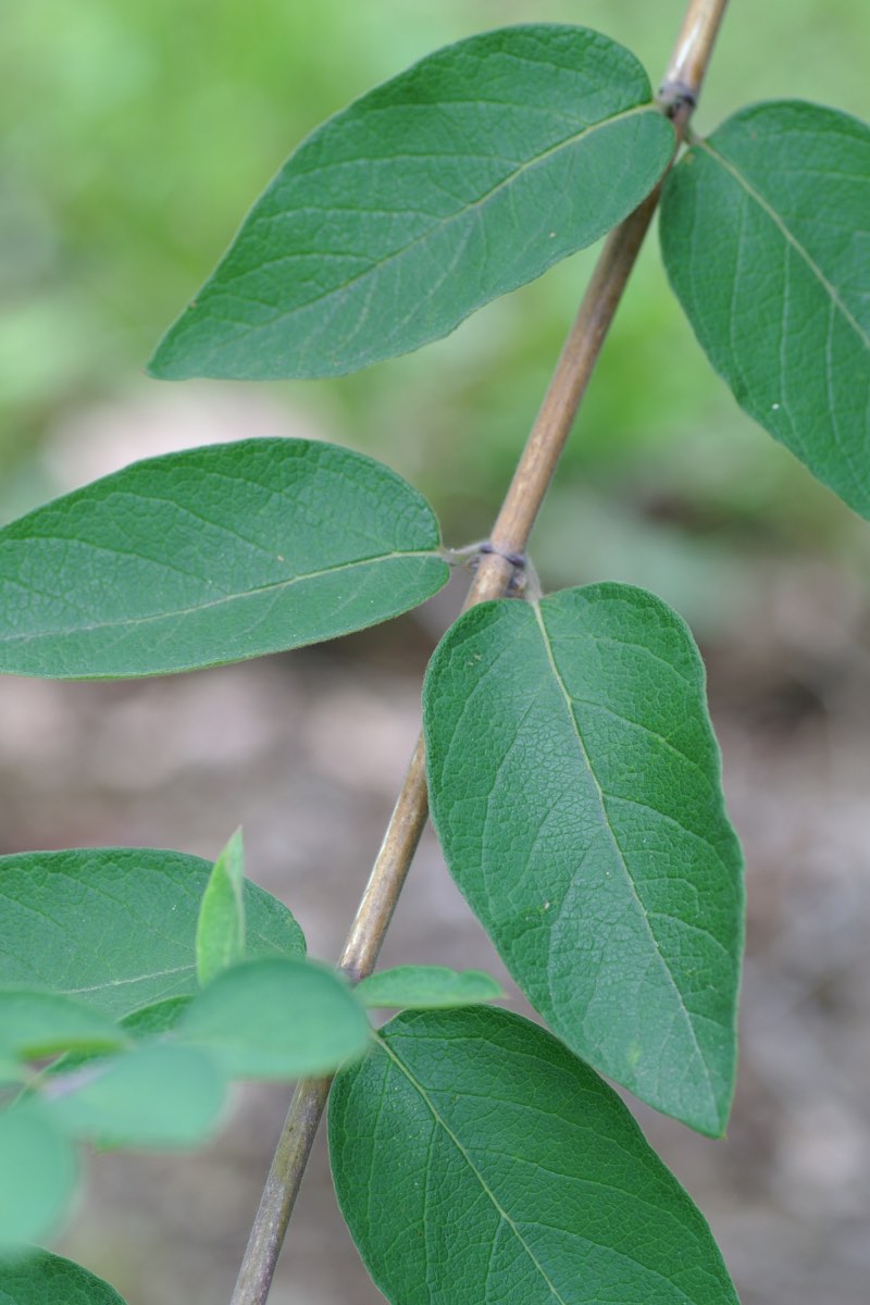
葉
zoom_in

小石川植物園(June 10, 2011)

葉は長さ2〜8cm程度の楕円形で、表や裏、葉縁、葉柄に軟毛が生えています。

葉
zoom_in

山形市野草園(June 26, 2021)

葉の裏
zoom_in

葉の裏

山形市野草園(June 26, 2021)

葉柄の毛
zoom_in

葉柄の毛

山形市野草園(June 26, 2021)

冬芽
zoom_in

冬芽

山形市野草園(Apr. 9, 2022)

葉の展開
zoom_in

葉の展開

山形市野草園(Apr. 24, 2021)

花
zoom_in

山形市野草園(May 22, 2021)

4〜6月になると対生の葉脈からそれぞれ1つの花柄に2つの白い花を咲かせます。

蕾
zoom_in

山形市野草園(May 8, 2021)

花
zoom_in

山形市野草園(May 22, 2021)

果実
zoom_in

果実

山形市野草園(June 26, 2021)

1本の果柄にある2つの果実は基部から合着して繋がってしまいます。

果実
zoom_in

果実

山形市野草園(June 26, 2021)

樹皮
zoom_in

樹皮

山形市野草園(Apr. 24, 2021)

樹皮は灰褐色で縦に裂けます。

Property
分 類
和名 キンギンボク(金銀木)
別名 ヒョウタンボク(瓢箪木)
学名 Lonicera morrowii
(Syn. Lonicera tatarica var. morrowii)
(Syn. Lonicera morrowii var. gamushiensis)
(Syn. Lonicera insularis)
マツムシソウ目(Dipsacales)
スイカズラ科(Caprifoliaceae)
スイカズラ属(Lonicera)
分布 日本、韓国(鬱陵島)
国内 北海道、本州
用途
特 徴
針広 広葉樹
常落 落葉樹
樹高 低木
葉形 単葉(不分裂)
葉序 対生
葉縁 全縁
雌雄 雌雄同株(両性花)
Search
Family