マツムシソウ目 chevron_right スイカズラ科 chevron_right スイカズラ属 chevron_right アラゲヒョウタンボク
アラゲヒョウタンボク
Lonicera strophiophora

 北海道の南西部から本州中部地方以東の主に山地に自生している日本固有種です。北方になると平地にも自生しています。樹高は1〜2mほどで、斜め上に枝を広げます。縦に裂ける樹皮は灰褐色です。対生の葉は葉身が5〜11cmの卵型または狭卵形で、先が尖ります。特徴的なのは毛です。触るとわかりますが葉の表も裏も毛が密生していて、その手触り感はビロードのようです。葉の縁にも毛があるのですが、名の由来はこれらの毛深さからきています。4〜5月、若い枝の葉腋から2つの花柄を出して白色から薄黄色の先が5裂した合弁花を下向きに咲かせます。対生ですから両側の葉腋から花を咲かせると1か所から4つの花を咲かせているように見えます。この花の特徴は、花柄に付いた葉のような楕円状の苞です。果実は6〜7月に赤く熟すのですが、この苞は残ったままです。まるで苞が果実を守っているようにも見えます。ちなみにこの果実は同属のキンギンボクやベニバナヒョウタンボクのように合着はしません。[1][2][3]

春を告げる花

 新潟県の佐渡島にはこのアラゲヒョウタンボクが海抜0mの海岸から標高1172mの金北山山頂付近まで自生しています。佐渡島では身近な花のようで、山仕事の始まりを告げる早春に咲く花として「ヨメナカセ」または「ムコナカセ」と呼ばれているとか。また、この実は甘くて食用にしていたとのことです。同属でもネムロブシダマやキンギンボクの果実は有毒、ハスカップの名で有名なクロミノウグイスカグラや当種が食用にできるとは、スイカズラ属とはよくわからない属ですね。[4]

参考文献
  1. 林将之(2004)『葉で見わける樹木』小学館
  2. 茂木透ら(2008)『樹に咲く花―合弁花・単子葉・裸子植物(第3版)』山と溪谷社
  3. 加藤雅啓ら(2011)『日本の固有植物』東海大学出版会

Gallery

樹形
zoom_in

樹形

蔵王刈田峠(Aug. 12, 2022)

北海道の南西部から本州中部地方以東の山地に自生している日本固有種です。

樹形
zoom_in

樹形

宮城県泉ヶ岳(Apr. 30, 2022)

花
zoom_in

蔵王賽の磧(May 15, 2021)

4〜5月、若い枝の葉腋から2つの花柄を出して白色から薄黄色の先が5裂した合弁花を下向きに咲かせます。

花
zoom_in

宮城県泉ヶ岳(Apr. 30, 2022)

花
zoom_in

宮城県泉ヶ岳(Apr. 30, 2022)

果実
zoom_in

果実

蔵王刈田峠(July 10, 2022)

果実は6〜7月に赤く熟します。

葉
zoom_in

蔵王賽の磧(May 29, 2021)

触るとわかりますが葉の表も裏も毛が密生していて、その手触り感はビロードのようです。

葉の展開
zoom_in

葉の展開

宮城県泉ヶ岳(Apr. 30, 2022)

葉
zoom_in

蔵王刈田峠(July 10, 2022)

葉の裏
zoom_in

葉の裏

蔵王賽の磧(May 15, 2021)

葉の縁
zoom_in

葉の縁

蔵王刈田峠(July 10, 2022)

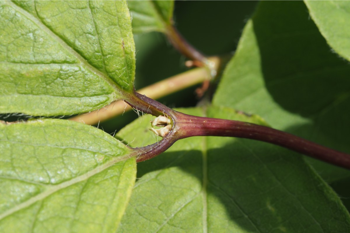
葉柄
zoom_in

葉柄

蔵王刈田峠(July 10, 2022)

樹皮
zoom_in

樹皮

宮城県泉ヶ岳(Apr. 30, 2022)

縦に裂ける樹皮は灰褐色です。

Property
分 類
和名 アラゲヒョウタンボク(粗毛瓢箪木)
別名 オオバヒョウタンボク(大葉瓢箪木)
学名 Lonicera strophiophora
マツムシソウ目(Dipsacales)
スイカズラ科(Caprifoliaceae)
スイカズラ属(Lonicera)
分布 日本
国内 北海道、本州
用途
特 徴
針広 広葉樹
常落 落葉樹
樹高 低木
葉形 単葉(不分裂)
葉序 対生
葉縁 全縁
雌雄 雌雄同株(両性花)
Search
Family