モクレン目 chevron_right モクレン科 chevron_right モクレン属 chevron_right タムシバ
タムシバ
Magnolia salicifolia

 本州から九州までの山地に自生している日本固有種です。高いものだと樹高は10mほどになり、樹皮は灰色か灰褐色。平滑ですが皮目が目立ちます。葉が展開する前の4〜5月に芳香のある大きな白い花を咲かせます。花弁は6枚、萼片は3枚ですが、萼片も白色の花弁状ですので、花弁を内花被片、萼片を外花被片と呼ぶこともできます。他のモクレン属と同様に花軸が柱状に立ち上がっていて、先端側に雌しべ、その下に雄しべが数多く出ています。果実は袋果が集まった集合果でこぶし状になり、10月ごろに熟して中から赤い種子が出てぶら下がります。葉身が6〜12cmの葉は狭卵形または卵形で先が尖り、裏側は細かい毛があって白色を帯びます。葉をもむと爽やかな柑橘系にも似た香りがし、噛むとほのかに甘みを感じます。香りの成分は、爽やかなシネオール、松の香りのピネン、清涼感のあるカンファー(樟脳)、レモンの香りのシトラールなどです。花がコブシと似ているため、葉がまだ展開する前の開花期にそれと区別するのはぱっと見わかりません。コブシは花の基部に小さな葉をつけますがタムシバにはない。コブシの萼片は長さが花弁の1/4までと短くて細く、タムシバは花弁の1/2近くまであって幅広、といった違いがありますので、注意して観察すれば判別できると思います。[1][2]

2つの集団

 東北地方から北陸地方の日本海側に低木型、中部地方から九州までに高木型と、2種名のタムシバが分かれて自生していることがわかっています。低木型の樹高は普通数mで高くても10m以下、幹は斜上することが多く、葉は大型で薄く、雌しべ1本あたりの雄しべの本数が1〜1.5本。高木型は樹高が15m以上に達して直立し、葉は小型で厚みがあり、雌しべ1本あたりの雄しべの本数が2.3〜3本と低木型より多いといった違いがあります。DNA配列に反復して存在していて子孫の遺伝子に残りやすいマイクロサテライトを、ストラクチャー解析によって日本全国のタムシバをいくつかの集団にグループ化した結果、2つの集団に分けるとこの低木型と高木型のグループにほぼ一致するそうです。この2つのグループが分岐したのは100万年前ごろと考えられ、低木型より高木型の方が遺伝的多様性の高いグループとのことです。 [3][4]

シネオール(C1018O)

ピネン(C1016

カンファー(C1016O)

シトラール(C1016O)

参考文献
  1. 茂木透ら(2006)『樹に咲く花―離弁花(1)(第4版)』山と溪谷社
  2. 林将之(2004)『葉で見分ける樹木』小学館
  3. 日本樹木誌編集委員会(2009)『日本樹木誌(1)』日本林業調査会
  4. 玉木一郎(2020)『日本の森林樹木の地理的遺伝構造(28)タムシバ(モクレン科モクレン属)』「森林遺伝育種」9(3)、pp.105-109

Gallery

樹形
zoom_in

樹形

日光植物園(July 15, 2011)

高いものだと樹高は10mほどになります。

樹形
zoom_in

樹形

秋田県虎毛山(Sep. 11, 2022)

樹形(開花時)
zoom_in

樹形(開花時)

山形市野草園(Apr. 24, 2021)

花
zoom_in

山形市野草園(Apr. 24, 2021)

葉が展開する前の4〜5月に芳香のある大きな白い花を咲かせます。

蕾
zoom_in

山形県笹野山(Apr. 16, 2023)

花
zoom_in

山形市野草園(Apr. 24, 2021)

花
zoom_in

山形市野草園(Apr. 24, 2021)

花
zoom_in

山形県笹野山(Apr. 16, 2023)

花
zoom_in

山形市野草園(Apr. 24, 2021)

果実
zoom_in

果実

山形市野草園(Sep. 24, 2023)

果実は袋果が集まった集合果でこぶし状になり、10月ごろに熟して中から赤い種子が出てぶら下がります。

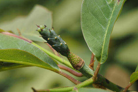
未熟果
zoom_in

未熟果

山形市野草園(May 22, 2021)

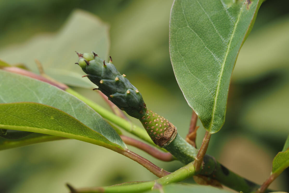
未熟果
zoom_in

未熟果

秋田県虎毛山(Sep. 11, 2022)

葉
zoom_in

日光植物園(July 15, 2011)

葉身が6〜12cmの葉は狭卵形または卵形で先が尖り、裏側は細かい毛があって白色を帯びます。

葉
zoom_in

山形市野草園(May 22, 2021)

葉の裏
zoom_in

葉の裏

山形市野草園(May 22, 2021)

樹皮
zoom_in

樹皮

宮城県蛤山(May 2, 2021)

樹皮は灰色か灰褐色。平滑ですが皮目が目立ちます。

Property
分 類
和名 タムシバ
別名 カムシバ、ニオイコブシ
学名 Magnolia salicifolia
(Syn. Yulania salicifolia)
モクレン目(Magnoliales)
モクレン科(Magnoliaceae)
モクレン属(Magnolia)
分布 日本
国内 本州、四国、九州
用途
特 徴
針広 広葉樹
常落 落葉樹
樹高 高木
葉形 単葉(不分裂)
葉序 互生
葉縁 全縁
雌雄 雌雄同株(両性花)
Search
Family